Felicia alcanza fuerza de huracán en el Pacífico
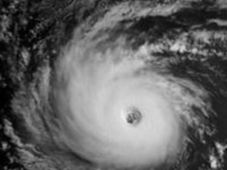
Una tormenta bautizada Felicia alcanzó fuerza de huracán en el Pacífico oriental, a más de 2.000 kilómetros al oeste-sudoeste de Baja California, en México, informó el martes el Centro Nacional de Huracanes de Estados Unidos

Miami.- Una tormenta bautizada Felicia alcanzó fuerza de huracán en el Pacífico oriental, a más de 2.000 kilómetros al oeste-sudoeste de Baja California, en México, informó el martes el Centro Nacional de Huracanes de Estados Unidos
El Centro Nacional de Huracanes en Miami indicó que Felicia tiene vientos sostenidos máximos de unos 128 kilómetros por hora (80 mph), y podría convertirse en un huracán de gran tamaño al día siguiente. Enrique, que está más hacia el este, tiene vientos cercanos a los 96 kph (60 mph)
Enrique está ubicado a unos 1.255 kilómetros (780 millas) al suroeste del extremo sur de la península mexicana de Baja California. Felicia está a unos 2.115 kilómetros (1.315 millas) al oeste-suroeste de la punta de la península
En estos momentos ninguno representa una amenaza para las costas
Con información de AP y AFP



