Deja 8 heridos explosión de motor de avión en Francia
Uno de los motores del Airbus 320 que se disponía a despegar con 165 pasajeros de Francia a España se incendió en el aeropuerto de capitalino de Orly
23 MAR 2026, Actualizado 09:28
Uno de los motores del Airbus 320 que se disponía a despegar con 165 pasajeros de Francia a España se incendió en el aeropuerto de capitalino de Orly

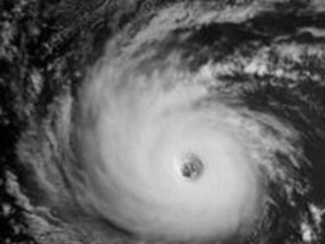
Felicia se encuentra a 2 mil 200 kilómetros al oeste-suroeste de la punta sur de la Península de California y se está moviendose con dirección oeste-noroeste

El republicano de mayor rango en el Senado dijo que Sonia Sotomayor, contraviene la imparcialidad requerida a pesar de sus méritos impresionantes

Una tormenta bautizada Felicia alcanzó fuerza de huracán en el Pacífico oriental, a más de 2.000 kilómetros al oeste-sudoeste de Baja California, en México, informó el martes el Centro Nacional de Huracanes de Estados Unidos
El segundo concierto Paz sin fronteras que organiza Juanes será el 20 de septiembre en La Habana y contará con la participación del Silvio Rodríguez
El Consejo de Seguridad de la ONU aprobó el martes de forma unánime una resolución presentada por México para proteger a niños que caen víctimas de conflictos armados

El presidente Kim Jong Il indultó el martes a dos periodistas estadounidenses y ordenó su liberación durante la visita del ex presidente Bill Clinton
Julio Castillo fue declarado culpable el martes por herir a un aficionado al lanzar una pelota a las gradas durante una reyerta en un partido de ligas menores el año pasado en Dayton, Ohio
El público puede votar por sus favoritos en las categorías generales a través del sitio web www.VMA.MTV.com, hasta el 13 de septiembre, cuando se entregarán los premios
El español anunció que llegará el miércoles a la ciudad canadiense para comenzar a prepararse para el torneo que se jugará entre el 10 y 16 de agosto
El equipo se adhiere a la cintura con una correa y transmite señales del cerebro a los soportes mecánicos de las piernas atadas a los muslos y rodillas, que proveen asistencia robot a las personas con extremidades débiles
La Medalla de la Libertad se otorga desde 1988 a individuos y organizaciones cuyas acciones representan los principios sobre los cuales se fundó Estados Unidos
El presidente del club, Joan Laporta, no mencionó la cantidad que le ofrecerán al delantero argentino, aunque según informes de prensa lo convertiría en el jugador mejor pagado del plantel tras la llegada de Zlatan Ibrahimovic
Las piezas estaban en el apartamento de Manhattan del pintor Clinton Hill, que falleció hace unos cinco años; máscaras, jarrones, cuencos y figuras pequeñas serán donadas a cuatro museos de EU
El subsecretario de Defensa William Lynn ordenó la semana pasada una revisión tanto de las amenazas como los beneficios de esas redes sociales para fines de mes
Sostuvo que internet ha sido utilizado como refugio para conducta inapropiada y agregó que el uso de los portales sociales puede proporcionar información al adversario
El astro colombiano ofrecerá el 20 de septiembre en La Habana un concierto por la paz junto con el trovador cubano Silvio Rodríguez y los astros de la salsa Los Van Van
Un grupo que hace campaña desde hace años contra el laboratorio Huntingdon Life Sciences, donde se hacen ensayos con animales, así como contra Novartis, negó tener relación alguna con los ataques
Una gorila traumatizada que el año pasado cargó durante varios días el cuerpo de su bebé muerto en un zoológico alemán alumbró a otro crío hace dos días, una pequeña que luce saludable

G.I. Joe The Rise of Cobra debuta el viernes, pero Paramount Pictures se ha abstenido de mostrársela de antemano a los críticos
El piloto alemán de 40 años, que se retiró al final de la temporada de 2006, aceptó volver a manejar con Ferrari mientras el brasileño Felipe Massa se recupera de las heridas sufridas en un choque hace 10 días en el Gran Premio de Hungría

La empresa automotriz japonesa sufrió una pérdida trimestral de 77 mil 820 millones de yen y que seguramente sus números rojos disminuirán al concluir el año fiscal
La policía disparó gases lacrimógenos y golpeó a un grupo de mujeres que protestaba frente a un tribunal donde se juzga a una periodista acusada de violar el código de vestimenta musulmán al vestir pantalones en público

La pintura realizada por el artista australiano Brett-Livingstone Strong, se titula El libro y muestra a al cantante sentado, sosteniendo un diario y de fondo se ve Neverland, su rancho en California

El dueño de los derechos comerciales de la Fórmula Uno, dijo que la máxima serie del automovilismo regresará a Montreal la próxima temporada
Página71
Compartir
Más acciones
Suscríbete
Tu contenido empezará después de la publicidad