Golpea a Filipinas tifón más violento del año
La fuerza del viento convierte a Haiyan, de categoría 5, la más alta, en uno de los ciclones más fuertes registrados en el mundo y en el más potente en tocar tierra "de la Historia"

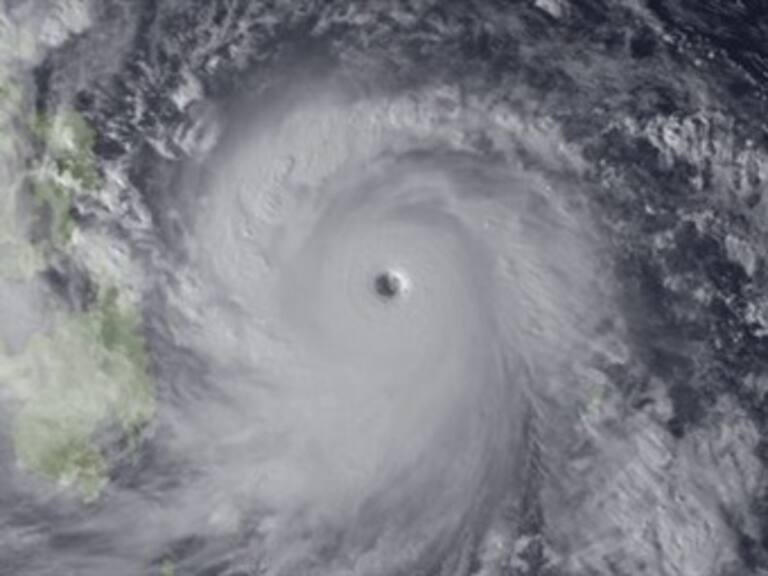
Filipinas.- El tifón Haiyan, anunciado como el ciclón más violento del año, comenzó a golpear Filipinas este viernes por la mañana provocando inundaciones, destruyendo edificios y dejando al menos tres muertos en regiones del centro del archipiélago
Haiyan sacudía el viernes por la mañana las costas orientales del archipiélago con vientos de hasta 315 km/h, según la agencia meteorológica deFilipinas
Haiyan se encontraba sobre la isla de Samar, a unos 600 km al sudeste de Manila, tras haber tocado tierra en la ciudad costera de Guiuan a las 04H40, hora local, (20H40 GMT del jueves), indicó a la AFP el meteorólogo Romeo Cajulis
Los daños, en Guiuan, un puerto pesquero de 40.000 personas, podrían ser "catastróficos", advirtió el meteorólogo estadounidense Jeff Masters en la web www.wunderground.com
La fuerza del viento convierte a Haiyan, de categoría 5, la más alta, en uno de los ciclones más fuertes registrados en el mundo y en el más potente en tocar tierra "de la Historia", según Masters
El canal de televisión ABS CBN emitía imágenes de calles inundadas, techos volando y edificios destruidos en Tacloban, una ciudad de 200.000 habitantes en el litoral
"Nos han informado de árboles arrancados, vientos muy violentos (...) viviendas de materiales ligeros dañados", declaró a la AFP la jefa de la CruzRoja nacional, Gwendolyn Pang
El tifón dejó tres muertos y un desaparecido, según el primer balance provisional oficial, que podría agravarse rápidamente antes de la salida deHaiyan prevista durante la noche
Las autoridades trataban de obtener informaciones sobre las consecuencias del tifón pero varias localidades estaban incomunicadas
El presidente filipino, Benigno Aquino, advirtió el jueves a la población que se preparara para la llegada de esta tormenta cuyas rachas de vientoalcanzaron picos de hasta 380 km/h en su avance hacia Filipinas
"A nuestros responsables locales: vuestros residentes se enfrentan a un grave peligro. Hagamos todo lo que podamos mientras (Haiyan) no haya golpeado todavía el país", declaró Aquino en un discurso transmitido por la televisión nacional
Más de 125.000 personas de las zonas más vulnerables fueron evacuadas antes de la llegada del tifón, según protección civil. Millones de personas permanecen encerradas en sus casas
Las escuelas que se encontraban en la trayectoria del tifón estaban cerradas, los tansbordadores suspendidos y los pescadores recibieron la orden de asegurar sus embarcaciones
El tifón no pasará por Manila, pero la capital de Filipinas podría sentir sus efectos, por lo que numerosos colegios cerraron. Philippine Airlines, Cebu Pacific y otras compañías aéreas anunciaron la suspensión de cientos de vuelos, en su mayoría internos, pero también algunos internacionales
Cerca de 16 millones de personas, entre ellas 12 millones en Filipinas, se encuentran en la trayectoria del tifón. El ciclón atravesará Laos y Vietnam el domingo
"Es un tifón muy peligroso. Los responsables locales (en Filipinas) saben cuáles son las zonas más vulnerables y han pedido que sean evacuadas", declaró a la AFP Glaiza Escullar, de la Agencia Nacional de Meteorología. Cada año, Filipinas sufre unas 20 grandes tormentas o tifones, generalmente entre junio y octubre



